Wanzen an Liguster
Schädling
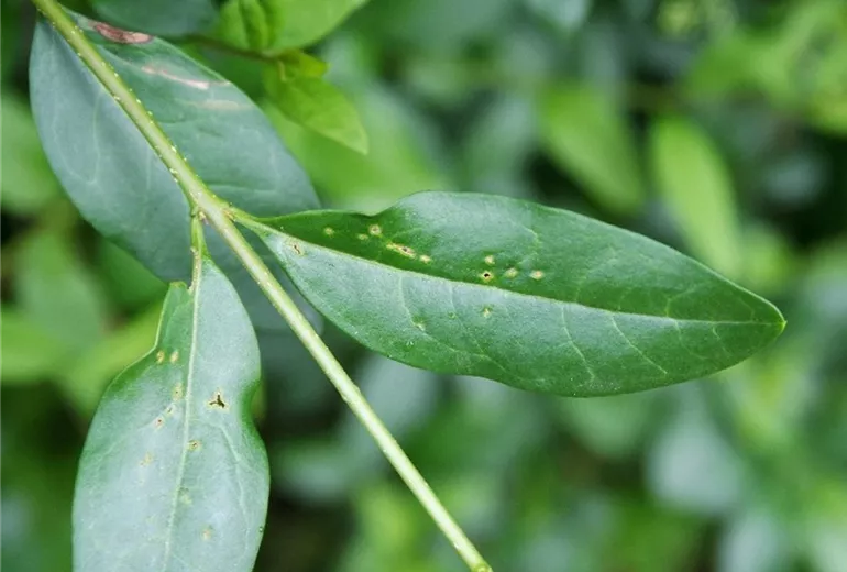
Die beschriebenen Schäden werden durch Wanzen hervorgerufen, die bevorzugt junge noch nicht entfaltete Blätter anstechen und den Pflanzensaft saugen. An den Anstichstellen stirbt das Blattgewebe ab. Beim späteren Streckungswachstum des Blattes wachsen diese abgestorbenen Blattpartien nicht mit. Es bilden sich die auffälligen Löcher.
Die Wanzen selbst findet man kaum an den Pflanzen, da sie sich bei Gefahr sofort fallen lassen. Wanzen schädigen an vielen verschiedenen Pflanzenarten.
Bekämpfung
Es gibt derzeit keine geeignete Methode, mit der sich Wanzenbefall verhindern lässt.
Deutsch
